Парцел за логистичен център, 450.000€ | 880.123,50лв, 10.000 кв.м.

  • Парцел
Код 2905202504
Цена на кв.м. 45€ | 88,01лв
Област Езерово (Белослав)
Изглед към улица 1
  • Гледка
  • Изглед към улица

Реф № 2905202504

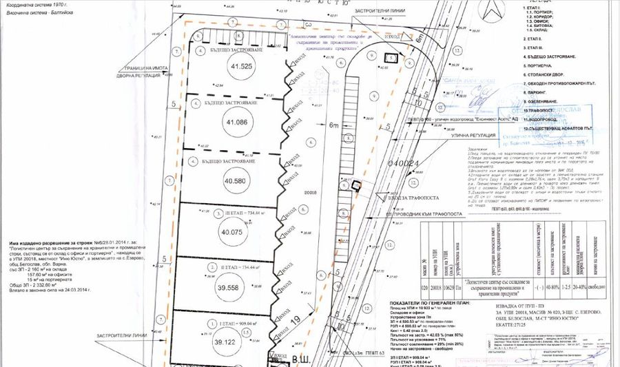
Продаваме парцел с ПУП .
За логистичен център шоурум, промишлена дейност и други.
Намира се в землището на с.Езерово.с изглед към езерото, до жп линия, с лице на асфалтов път 30 м2.
Какво прави този имот специален?
✔ Простор и удобство достатъчна площ за реализиране на вашите идеи-10000 кв.м;
✔ Стратегическо местоположение близост до населени места, комуникации и инфраструктура;
✔ 30 метра лице на асфалтов път;
✔ Лесен достъп удобен път, осигуряващ безпроблемно придвижване;

🔹 Перфектен за:

- Инвестиция със стойност във времето
- Създаване на лично стопанство или новo бизнес начинание
За оглед и подробна информация се обадете и цитирайте по горе референден номер.


Изчесляване на вноски

Въведете информация за заема и натиснете 'Изчисли '
%
Години

Изчисли